Yup what can I say about today? It was a doozy of a day, totally not what we had planned for. We never expected to be on a sea star expedition but we were after breakfast.
Well first the cat held us hostage and once we got past him, we had breakfast.
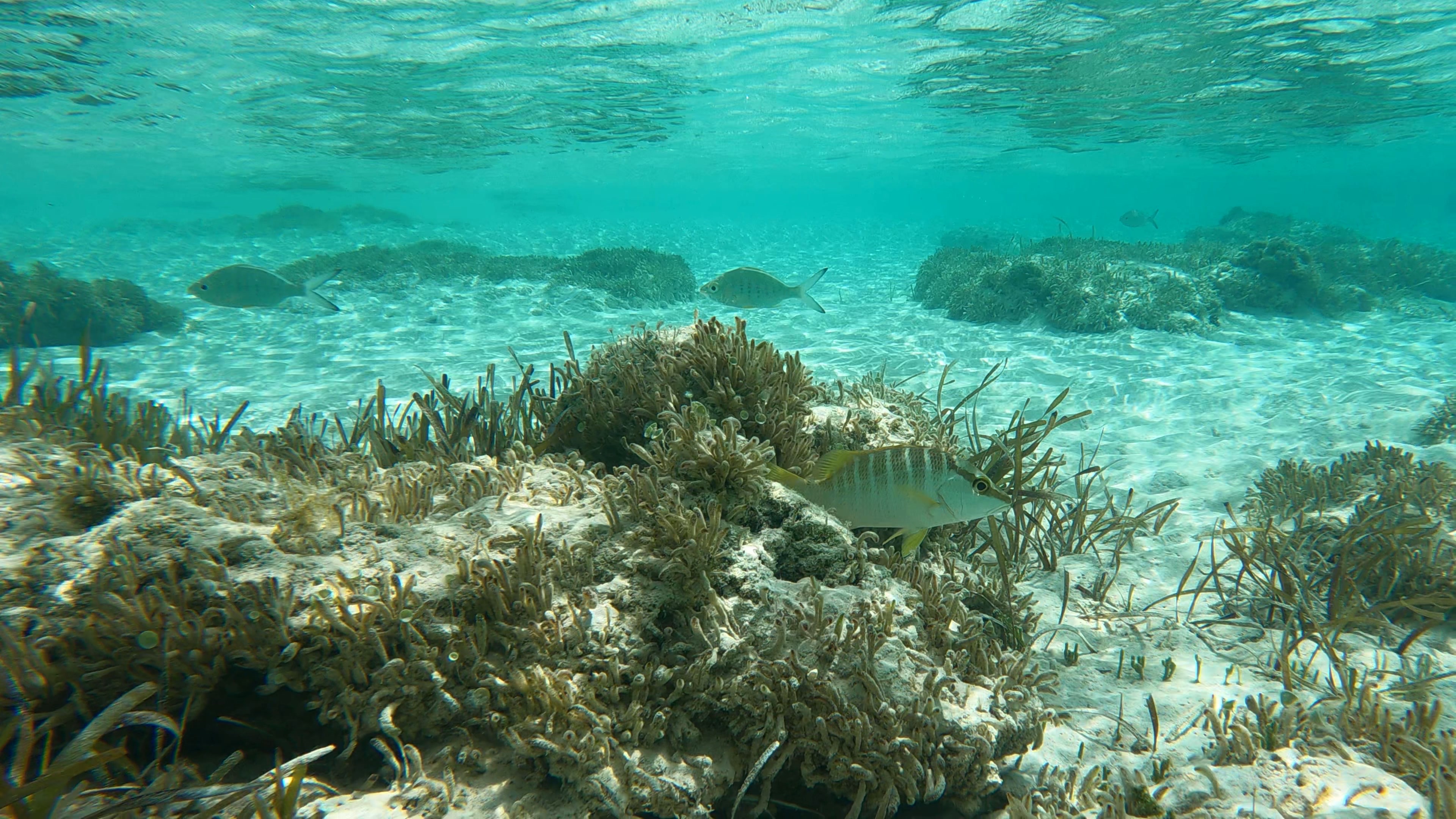
We gathered our food, snorkel gear and towels and headed down North. Once again we ended up at Calabash Bay, in another new spot. Here we spied our first sea star and then we found at least 10 more. We also had string rays and a barracuda (sorry no pictures of them).
Very short snippet of the day.
It was late afternoon by the time we returned. We edited pictures and watched videos we took.
Sunset was blocked by clouds at the horizon again, but the afterglow was lovely and soft.




































Leave a comment